Internacional
Así se ve el ojo del huracán «Beryl» desde el avión caza huracanes del NOAA | VIDEO
El Centro Nacional de Huracanes de Estados Unidos y el NOAA, enviaron el avión caza huracanes a las fauces del meteoro para medir la intensidad del ciclón y recopilar información que pudiera salvar vidas en los siguientes días.

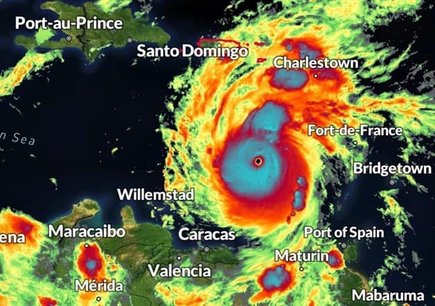
El huracán «Beryl», categoría 4 en la Escala de Saffir-Simpson, mantiene su trayectoria en el Océano Atlántico causando ya serios problemas en algunas islas del caribe.
El Centro Nacional de Huracanes de Estados Unidos y el NOAA, enviaron el avión caza huracanes a las fauces del meteoro para medir la intensidad del ciclón y recopilar información que pudiera salvar vidas en los siguientes días.
En Twitter algunos usuarios ya publicaron fotografías que tomó el avión cuando sobrevolada el ojo o centro del huracán «Beryl» y así se vio:

A 200 PM AST (1800 UTC), el centro del Huracán Beryl se localizó cerca de la latitud 15.6 Norte, longitud 69.9 Oeste. Beryl se está moviendo hacia el oeste-noroeste cerca de 22 mph (35 km/h), y este movimiento general debe continuar hasta el miércoles, seguido de un giro más hacia el oeste el jueves.
Su trayectoria
En la trayectoria del pronóstico, el centro de Beryl se moverá rápidamente a través del Mar Caribe central hoy y se pronostica que pasará cerca de Jamaica el miércoles y las Islas Caimán el jueves. Se pronostica que el centro se acercará a la Península de Yucatán de México el jueves por la noche.
Los informes de un avión Cazahuracán de la Reserva de la Fuerza Aérea indican que los vientos máximos sostenidos están cerca de 155 mph (250 km/h) con ráfagas más fuertes. Beryl es un huracán de categoría 4 en la Escala de Viento de Saffir-Simpson.

Se pronostica un debilitamiento más tarde hoy, pero todavía se espera que Beryl esté cerca de la intensidad de huracán mayor a medida que se mueve al Caribe central y pasa cerca de Jamaica el miércoles y las Islas Caimán el jueves.
Se espera un debilitamiento adicional a partir de entonces, aunque se pronostica que Beryl permanecerá como huracán en el noroeste del Caribe.
Vientos con fuerza de huracán se extienden hacia fuera hasta 40 millas (65 km) desde el centro y vientos con fuerza de tormenta Tropical se extienden hacia fuera hasta 175 millas (280 km).
- La última presión central mínima estimada de los datos del avión Cazahuracán es de 943 mb (27.85 pulgadas).
Te puede interesar:
MÁS NOTICIAS DE Internacional










