Internacional
Huracán “Helene” podría ser catastrófico y azotar Florida como categoría 4
Se espera que este fenómeno continúe fortaleciéndose en las próximas horas y alcance vientos de más de 200 km/h

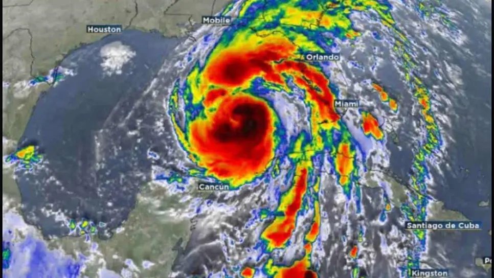
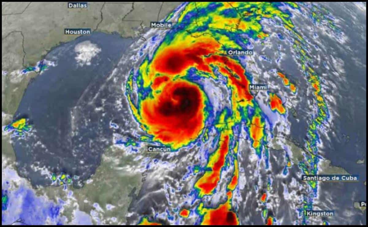
El huracán Helene sigue avanzando en su trayectoria y se prevé que azote Florida como categoría 4, algo potencialmente catastrófico para esa ciudad.
El Centro Nacional de Huracanes (NHC, por sus siglas en inglés) prevé que este fenómeno llegue a las costas de Florida en las próximas horas del jueves 26 de septiembre, por lo que ya se han emitido alertas para que la ciudadanía tome las debidas precauciones.
El huracán Helene alcanzó la categoría 1 el pasado miércoles en el océano Atlántico, en el Golfo de México, y durante la mañana del jueves alcanzó la categoría 2.
Sin embargo, se espera que en las próximas horas continúe fortaleciéndose y alcance ráfagas de viento de más de 200 kilómetros por hora. Además, el Centro Nacional de Huracanes ha señalado que “un fortalecimiento adicional es posible” en las horas previas al impacto.
Trayectoria
El Servicio Meteorológico Nacional (SMN) de la Comisión Nacional del Agua (Conagua) informó durante la mañana del jueves 26 de septiembre que el huracán Helene, categoría 2, se encontraba al norte de las costas de Quintana Roo.
Específicamente, el centro del huracán se localiza a 345 kilómetros al nor-noreste de Cabo Catoche, Quintana Roo, y a 515 kilómetros al sur de Tampa, Florida, en Estados Unidos.
El ciclón Helene, en su categoría 2, presenta vientos máximos sostenidos de 155 km/h, rachas de 195 km/h y se desplaza hacia el nor-noreste a 10 km/h.
Aunque Helene afectará a Estados Unidos con su impacto, este meteoro causará lluvias fuertes de hasta 50 mm en Campeche, Yucatán y Quintana Roo, y oleaje de 1 a 3 metros de altura.

Durante las próximas horas, el pronóstico indica que Helene tocará tierra cerca de Apalachicola, Florida, durante la tarde de este jueves y afectará la parte del sureste de Estados Unidos.
Aunque ya no esté en el mar, se prevé que siga siendo huracán el viernes por la mañana por su paso por el estado de Georgia, donde se prevé que genere impactos extensos.
Te puede interesar:
MÁS NOTICIAS DE Internacional










