Internacional
Jamaica en alerta por el inminente impacto del poderoso huracán Melissa; advierten catástrofe
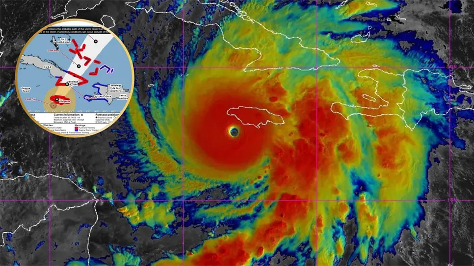
El efecto estadio se produce cuando las nubes que rodean el ojo del huracán forman una pared de gran altura con una curvatura hacia el interior.

El Gobierno de Jamaica declaró estado de alerta máxima ante la inminente llegada del huracán Melissa, un ciclón de categoría 5 que amenaza con causar daños catastróficos en la isla y en otras regiones del Caribe.
De acuerdo con la Administración Nacional Oceánica y Atmosférica de los Estados Unidos (NOAA), el fenómeno presenta el llamado "efecto estadio", un rasgo que solo se observa en los huracanes de mayor intensidad.
El efecto estadio se produce cuando las nubes que rodean el ojo del huracán forman una pared de gran altura con una curvatura hacia el interior, lo que genera una apariencia similar a la de un estadio de fútbol.
TE PUEDE INTERESAR: Esta es una de las zonas más frías de México, ¿a cuánto llega la temperatura?

Alerta:
Este fenómeno fue documentado recientemente por el Escuadrón de Reconocimiento Meteorológico del Centro de Seguridad de la Fuerza Aérea de Estados Unidos, que difundió impactantes videos del interior del ciclón.
"Los deslizamientos de tierra y los vientos destructivos continuarán hasta el día de hoy, causando daños generalizados a la infraestructura, cortes de energía y comunicación, y comunidades aisladas. Un fallo estructural total es posible cerca del camino del centro de Melissa. A lo largo de la costa sur, se esperan una tormenta que amenaza la vida y olas dañinas a lo largo del día. La falta de acción puede resultar en lesiones graves o pérdida de vidas".
Las imágenes, compartidas por el teniente coronel Jeremy Dehart y otro oficial de reconocimiento conocido en la red social X como "Tropical Cowboy of Danger", fueron captadas durante los vuelos de reconocimiento realizados a bordo de un avión Super Hercules (WC-130).
En los videos se observa con claridad el ojo del huracán Melissa y la impresionante estructura de sus nubes, evidencia del poder destructivo del sistema.
De acuerdo con la NOAA, Melissa se ha convertido en el huracán más poderoso de la temporada, con vientos sostenidos de 280 km/h y rachas que alcanzan los 345 km/h, desplazándose lentamente hacia el nor-noreste a una velocidad de 7 km/h.

Según el Servicio Meteorológico Nacional (SMN) de México, el ciclón se localiza actualmente a 180 kilómetros al oeste-suroeste de Kingston, Jamaica, y a 995 kilómetros al este-sureste de Cancún, Quintana Roo.
Las autoridades mexicanas descartaron que el fenómeno represente un riesgo directo para el territorio nacional, aunque confirmaron que se mantendrá una vigilancia permanente sobre su trayectoria y posibles efectos indirectos en las costas del Caribe mexicano.
- Se prevé que Melissa toque tierra en Jamaica al mediodía de este martes 28 de octubre, para luego avanzar hacia Cuba, donde podría comenzar a perder fuerza el miércoles 29. No obstante, los meteorólogos advirtieron que los remanentes del huracán podrían continuar afectando la región caribeña con lluvias intensas, marejadas y fuertes vientos hasta el 2 de noviembre.
Las autoridades de Jamaica han instado a la población a refugiarse en zonas seguras, suspender toda actividad marítima y atender las recomendaciones de protección civil. La población se prepara para lo que podría ser uno de los fenómenos más devastadores en los últimos años en el Caribe.
Te puede interesar:
MÁS NOTICIAS DE Internacional










