México
Huracán Erick se ubica frente a Puerto Escondido, Oaxaca; impactará las primeras horas del jueves
Las lluvias continuarán torrenciales durante la noche de este miércoles y el día del mañana.

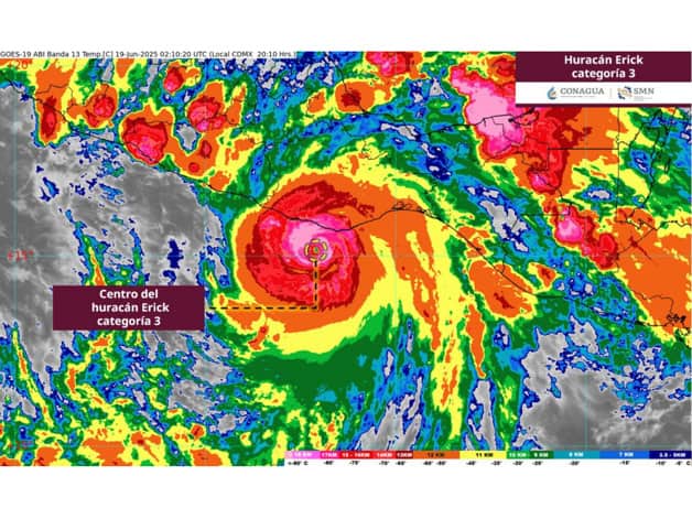
El huracán Erick, un poderoso fenómeno de categoría 3 en la escala Saffir-Simpson, se ha posicionado al sur de Oaxaca, generando una alerta máxima en las costas del Pacífico mexicano.
Sus extensas bandas nubosas ya están provocando lluvias torrenciales a puntuales extraordinarias en los estados de Guerrero, Oaxaca y Chiapas, acompañadas de intensas rachas de viento y oleaje elevado.
De acuerdo con el Servicio Meteorológico Nacional, se espera que el ojo del huracán Erick impacte directamente entre las localidades de Puerto Escondido y Lagunas de Chacahua, Oaxaca, durante la madrugada de este jueves.

- También te podría interesar: "Erick" se intensifica a huracán categoría 3 | Luz Noticias
En punto de las 21:00 horas, "Erick" se localizaba a 75 km al sur de Puerto Escondido, Oaxaca, y a 200 km al sureste de Punta Maldonado, Guerrero.
Presenta vientos sostenidos de 205 km/h y rachas de 250 km/h, con un desplazamiento hacia el noroeste (320°) a 15 km/h.
Se pronostican lluvias puntuales extraordinarias (mayores a 250 mm) en Oaxaca; así como lluvias puntuales torrenciales (150 a 250 mm) en Guerrero y Chiapas.
Zona de vigilancia
Se mantiene una zona de prevención por efectos de vientos de huracán desde Acapulco, Guerrero hasta Puerto Ángel, Oaxaca, así como una zona de vigilancia por efectos de vientos de huracán desde el oeste de Acapulco, guerrero, hasta Técpan de Galeana, Guerrero.
Además de una zona de prevención por efectos de vientos de tormenta tropical desde el este de Puerto Ángel, Oaxaca hasta Salina Cruz, Oaxaca y zona de prevención por efectos de vientos de tormenta tropical desde el oeste de Acapulco, Guerrero hasta Técpan de Galeana, Guerrero.
Te puede interesar:
MÁS NOTICIAS DE México










