Sinaloa | Centro
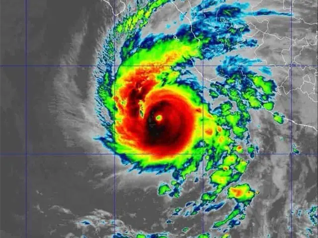
«Hay cono de incertidumbre desde Ahome hasta El Rosario por huracán Norma»: Protección Civil
Roy Navarrete informó que Sinaloa debe estar prevenido ante la llegada de este fenómeno.

Hay un cono de incertidumbre desde Ahome hasta El Rosario por el huracán «Norma», informó el Director de Protección Civil en Sinaloa, Roy Navarrete Cuevas.
Indicó que hasta el momento las autoridades estatales esperarán más tardar al día de mañana para definir el trayecto del huracán Norma que actualmente se encuentra como categoría 4.
«Estaremos esperando mañana tener más certidumbre que día pudiera hacer el trayecto hacia Sinaloa, con un cono de incertidumbre desde El Rosario hasta Ahome» declaró Navarrete Cuevas.
El director añadió que hay sobrevuelos de aeronaves de los Estados Unidos pertenecientes al servicio de meteorología y ellos son quienes actualizan la información, que más tardar para la tarde noche habrá más certidumbre de la trayectoria y zona de impacto.
Pronósticos
Actualmente hay varios pronósticos en puerta sobre Norma:
El primero es que pudiera impactar en Baja California Sur y se pudiera debilitar al llegar a Sinaloa.
El segundo fue el Servicio Meteorológico Nacional (SMN) quien informó que el Huracán mantiene su trayectoria hacia Baja California Sur, y continúa hacia Sinaloa en donde estará impactando a partir del próximo domingo 22 de octubre.
El tercero es por parte del Geofísico Juan Espinosa Luna quien indicó que sigue su trayectoria sigue hacia la zona de Los Cabos en Baja California Sur.
Después continuará su trayectoria hacia el centro de Sinaloa ya definiendo más su posible entrada el domingo por la tarde noche o lunes madrugada en las costas de Navolato y Culiacán, entre Altata y Eldorado como huracán categoría 2.
Por cualquier cambio de trayectoria, Baja California y Sinaloa deben tomar sus respectivas precauciones ante la inminente llegada de Norma.
Te puede interesar:
MÁS NOTICIAS DE Sinaloa










