Sinaloa | Centro
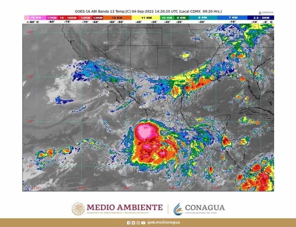
Se forma la depresión tropical Doce-E; se dirige al oeste-noroeste del país
Se encuentra en el Océano Pacífico y en las próximas horas podría convertirse en la tormenta tropical “Kay”

Ya se formó la depresión tropical Doce-E en el Océano Pacífico y en las próximas horas podría convertirse en tormenta tropical, informó la Comisión Nacional del Agua.
Según los monitoreos meteorológicos el fenómeno natural que podría llevar el nombre de «Kay» se encuentra a 360 kilómetros al sur-suroeste de Guerrero y a 445 km al sur de Michoacán con vientos máximos sostenidos de 55 kilómetros por hora, rachas de 75 km/h y desplazamiento hacia el oeste a 17 km/h
Por el momento la depresión tropical no ocasionará lluvias en Sinaloa pero según su proyección en las próximas horas podría agarrar fuerza y acercarse al oeste- noroeste del país.
Noticias relacionadas:
Te puede interesar:
MÁS NOTICIAS DE Sinaloa










