País-Mundo
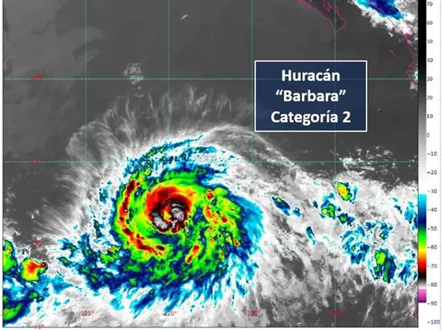
Bárbara se intensifica a huracán de categoría 2 lejos de costas nacionales
Mañana miércoles alcanzará la categoría 4 y se irá degradando mientras se adentra en el Océano Pacífico.

Ciudad de México.- Bárbara se intensificó rápidamente a huracán de categoría 2 en el Océano Pacífico, mientras se aleja de las costas nacionales, reportó el Servicio Meteorológico Nacional (SMN).
En su último aviso, el organismo dependiente de la Comisión Nacional del Agua (Conagua), informó que a las 22:00 horas de ayer lunes (03:00 horas GMT del 2 de julio), el meteoro se ubicaba a mil 625 kilómetros al suroeste de Cabo San Lucas, Baja California Sur.
Mantenía desplazamiento hacia el oeste a 24 kilómetros por hora (km/h) con vientos máximos sostenidos de 155 km/h y rachas de 195 km/h.
El SMN reiteró que Bárbara no afecta al país. Mañana miércoles alcanzará la categoría 4 y se irá degradando mientras se adentra en el Océano Pacífico.
Te puede interesar:
MÁS NOTICIAS DE País-Mundo










